海陽核電站1#核島吊裝點地基及邊坡加固
海陽AP1000作為中國引進世界上最先進第三代壓水堆核電站,采用了世界上 最大的Demag Sc8800-3200噸液壓吊車,要求吊裝點及其活動場地地基承載力達到600kPa。本文針對吊裝點位置施工荷載大且周期長、地質復雜、緊靠邊坡邊緣的特點,基于變形控制和復合樁基的設計理念采用二次壓漿微型樁對該位置進行了加固;針對吊裝機活動區域瞬時荷載多、周邊管線的過渡區域需要考慮二次開挖需求的特點,基于強度控制的設計理念采用換填方式對該區域進行了加固。本次研究的理論和實施方法不僅適用于海陽六座核電站,而且對世界上所有工程的大型吊裝區域的地基處理起到借鑒作用。
該加固工程經過2010年1月31日和2010年4月9日兩次大型吊裝,最大吊裝件重量達1000多噸,實踐證明了我單位設計和施工非常成功。

圖1 1#核島入口

圖2 吊裝點及邊坡加固施工現場

圖3 吊裝點及邊坡加固施工現場

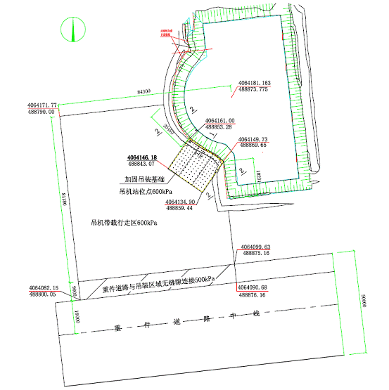
圖4 吊裝點及邊坡加固平面布置圖

圖5 大型吊裝構件正在吊裝核島工作室(1000多噸)

圖6 加固所人員與項目管理姜先生(臺灣)在吊裝現場

圖7 加固所人員與中核五公司海陽總承包部的管理人員在大吊車現場

圖8 加固所人員與項目管理中方管理人員在大吊車現場

圖9 加固所人員與項目管理施工經理ANDY先生和夏宏君先生在吊裝現場
-
山東建固
建大加固院
-
(0531)86367232



地址:濟南市歷山路96號山東建筑大學(和平校區)
電話:(0531)86367232
傳真:(0531)86993042